TERRENO A VENDA EM VILHENA - JD DAS OLIVEIRAS
Aqui está a oportunidade perfeita para quem busca uma localização privilegiada!
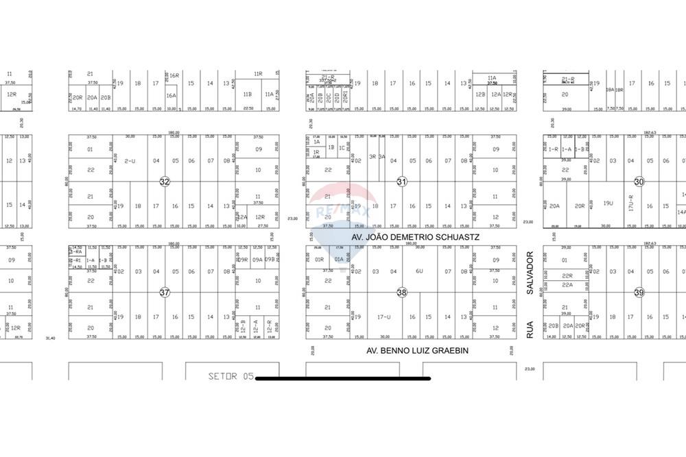
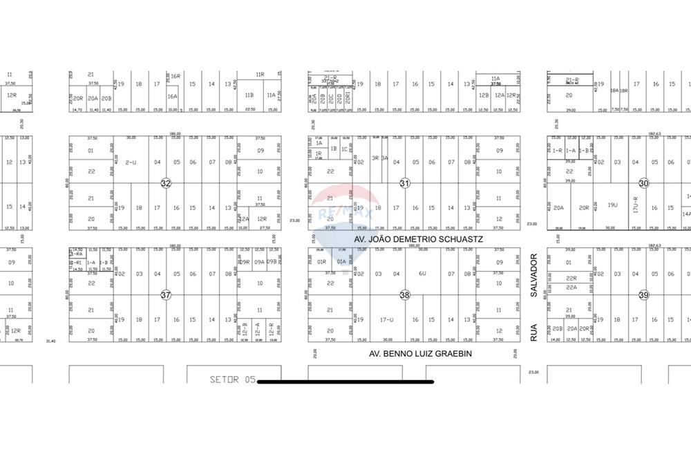
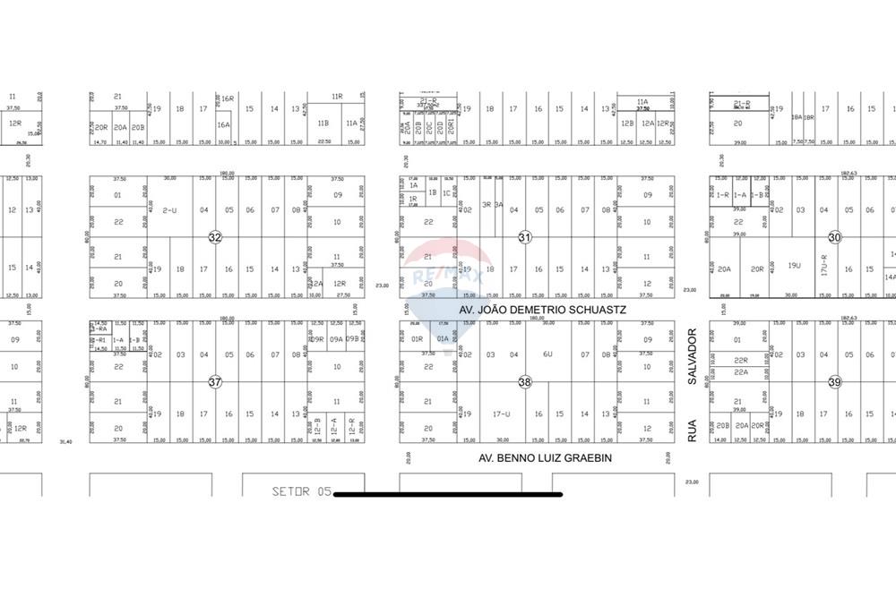
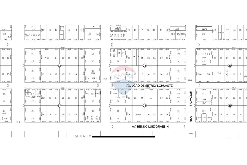
Lote 20 quadra 31 - Terreno de 750m²
Lote 20 quadra 31, terreno de 750m², esquina, localizado na rua Francisco O. Mendes com a João Demetrio.
Tanto para investimento quanto moradia, esse terreno é ideal para quem busca uma localização perfeita; sendo que ele está a uma quadra da prefeitura de Vilhena, a uma quadra da Av. Presidente Nasser (onde iniciaram as obras do hotel IBIS).
Com dimensões de 20 x 37,50 esse terreno é um grande atrativo para as famílias grandes ou até mesmo aquelas famílias que curtem muito mais o espaço do que a casa em si.
Não espere a oportunidade chegar, crie você a sua própria oportunidade!
TERRENO A VENDA EM VILHENA - JD DAS OLIVEIRAS
Aqui está a oportunidade perfeita para quem busca uma localização privilegiada!
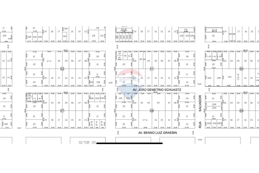
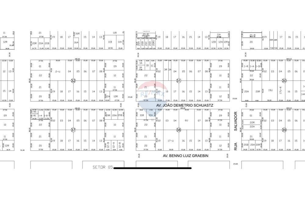
Terreno de 750m², esquina, localizado na rua Francisco O. Mendes com a João Demetrio.
Tanto para investimento quanto moradia, esse terreno é ideal para quem busca uma localização perfeita; sendo que ele está a uma quadra da prefeitura de Vilhena, a uma quadra da Av. Presidente Nasser (onde iniciaram as obras do hotel IBIS).
Com dimensões de 20 x 37,50 esse terreno é um grande atrativo para as famílias grandes ou até mesmo aquelas famílias que curtem muito mais o espaço do que a casa em si.
Não espere a oportunidade chegar, crie você a sua própria oportunidade!
TERRENO A VENDA EM VILHENA - JD DAS OLIVEIRAS
Aqui está a oportunidade perfeita para quem busca uma localização privilegiada!
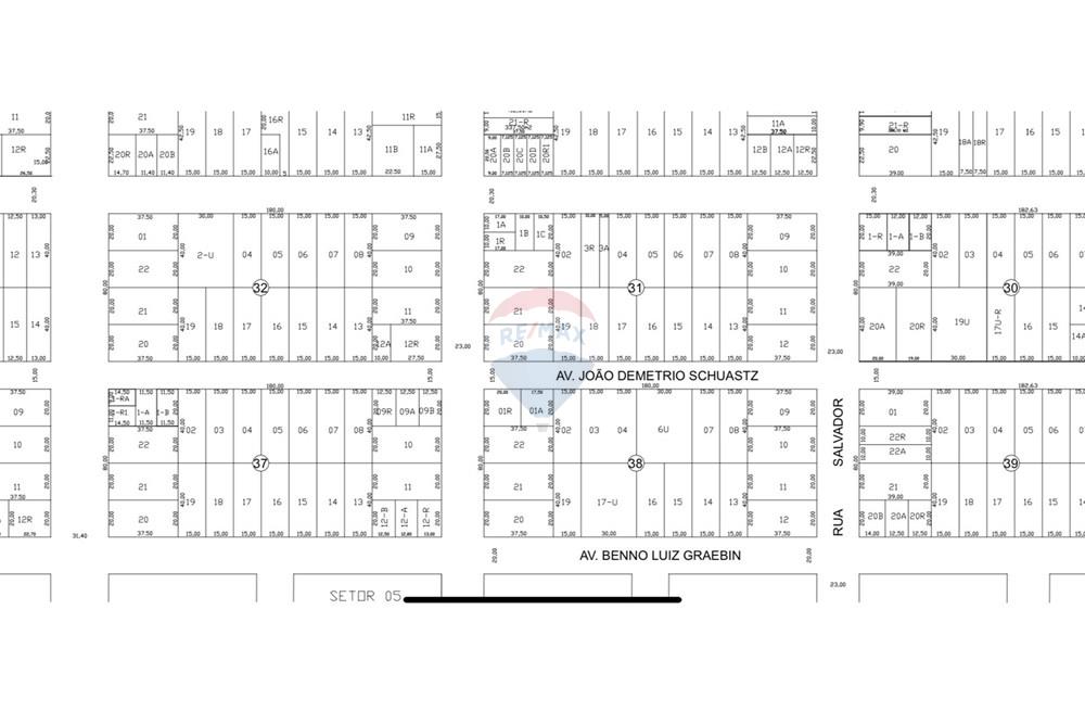
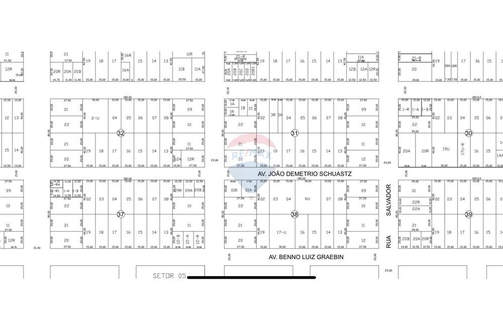
Terreno de 750m², esquina, localizado na rua Francisco O. Mendes com a João Demetrio.
Tanto para investimento quanto moradia, esse terreno é ideal para quem busca uma localização perfeita; sendo que ele está a uma quadra da prefeitura de Vilhena, a uma quadra da Av. Presidente Nasser (onde iniciaram as obras do hotel IBIS).
Com dimensões de 20 x 37,50 esse terreno é um grande atrativo para as famílias grandes ou até mesmo aquelas famílias que curtem muito mais o espaço do que a casa em si.
Não espere a oportunidade chegar, crie você a sua própria oportunidade!
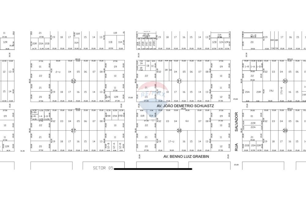
TERRENO A VENDA EM VILHENA - JD DAS OLIVEIRAS