Terreno - Venda - Lindóia , São Paulo

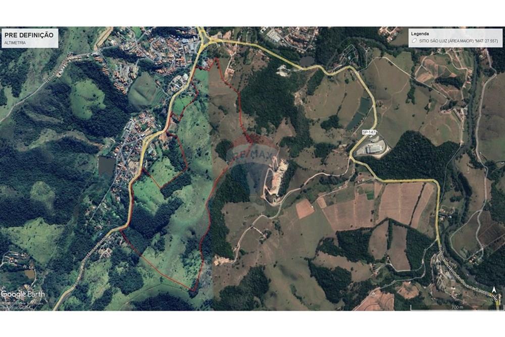
PROPRIEDADE RURAL 67,76 HECTARES , BEIRANDO A RODOVIA- OPORTUNIDADE

R$ 6.000.000 InStock
 
estrada lindoia -serra negra , 0000 - próximo a POUSADA LINDOIA RURAL EM LINDOIA - Centro , Lindóia , São Paulo , 13950000
Ótimo Preço
Data disponível: 12/11/2024
ID: 690291056-15
Total M²
677.600
Tamanho do Lote (M²)
677.600
Área Útil
677.600
Ano/ Mês de Construção
2024/01
Descrição do bairro


Este belíssimo sítio de 67,76 hectares está situado em uma localização privilegiada, combinando o sossego e a beleza do campo com a praticidade de estar próximo ao centro urbano. A propriedade oferece um acesso rápido e fácil, com estrada asfaltada até a entrada, permitindo que você se desloque com facilidade para qualquer lugar.
Pontos de Interesse Próximos:
Proximidade com a cidade: A apenas 05 minutos do centro da cidade, você estará perto de todas as comodidades urbanas supermercados, escolas, hospitais, bancos, farmácias e comércio em geral.Acessibilidade: A estrada asfaltada que leva diretamente à entrada do sítio garante que o acesso seja fácil e seguro, mesmo durante a temporada de chuvas. A região é bem servida de transporte, facilitando o deslocamento tanto para moradores quanto para visitantes.Infraestrutura completa: A área conta com boa infraestrutura de serviços, incluindo, água da própria propriedade , oferecendo o conforto de viver no campo com as comodidades urbanas. Por estar próximo do centro da cidade energia elétrica e internet não será um problema.Belezas naturais e lazer: O sítio está cercado por paisagens deslumbrantes, com vastas áreas verdes, flora e fauna típicas da região, ideal para quem busca tranquilidade e contato com a natureza. A propriedade também está perto de áreas de lazer como parques, trilhas e pontos turísticos rurais, que podem ser aproveitados para atividades recreativas e de ecoturismo.Comércio e serviços rurais: A região conta com mercados, padarias, pequenas lojas e serviços rurais, atendendo a todas as necessidades básicas e garantindo a praticidade de quem vive ou visita o local.Aproximação com centros urbanos maiores: Para quem deseja explorar cidades maiores ou ter acesso a mais opções de lazer e serviços, este sítio está próximo de importantes rodovias, oferecendo fácil acesso a outras localidades.Aproveite a Tradição e a Modernidade em um Só Lugar!
Com a combinação de acesso fácil, infraestrutura de qualidade e uma localização estratégica, este sítio é o lugar perfeito para quem busca qualidade de vida no campo, sem abrir mão das facilidades da vida urbana.
Valor do IPTU
R$ 0  

Características

Terra
Vista exterior
Perto da Rodovia
Perto de transporte público
Permitido fumar
Pedra
Aberta
Acessível com tráfego bom
Área Residencial
Casa de Campo
Montanhas
Perto da Rodovia
Perto das escolas
Perto de ônibus
Perto de transporte público
Perto do Hospital
Perto do Parque
Vista aberta
Vista para a montanha
Todas as informações fornecidas pelo corretor são consideradas confiáveis, mas não são garantidas e devem ser verificadas independentemente. Nenhuma garantia ou representações é feita de qualquer tipo.
Envie sua mensagem!
Walter Guida Walter Guida Rua Bento da Rocha - 408 - Centro
Itapira, São Paulo, Brasil
13970-030

Walter Guida CRECI Nº: 301809

BRL Região Sudeste RE/MAX RE/MAX PONTO IV Itapira Rua Bento da Rocha - 408 - Centro
Itapira, São Paulo, Brasil
13970-030

Ver +...
Ver +...
Ver +...

ENVIAR MENSAGEM

Walter Guida Walter Guida Rua Bento da Rocha - 408 - Centro
Itapira, São Paulo, Brasil
13970-030

CRECI Nº: 38508J

Rua Bento da Rocha - 408 - Centro
Itapira, São Paulo, Brasil
13970-030
BRL Região Sudeste RE/MAX RE/MAX PONTO IV Itapira

Favoritos

Compartilhar/ Comparar


Visualizado recentemente

Compartilhar/ Comparar